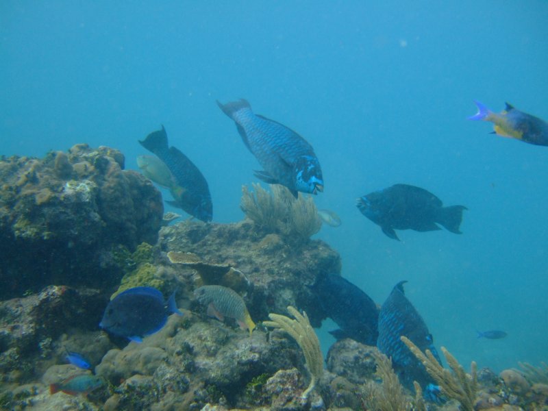
Midnight Parrotfish

midnightparrotfish.jpg

There was a school of at lesat 6 Midnight Parrotfish, hanging with a school of at least 6 giant (Colossus) parrotfish. It was pretty mazing. I'm not sure I've ever seen more than 2 midnight parrotfish in one area before.

Photo album created with Web Album Generator